Apresentamos a tartaruga marinha Rapa Nui, um animal fascinante e místico que devemos proteger com especial empenho na sua preservação no planeta.

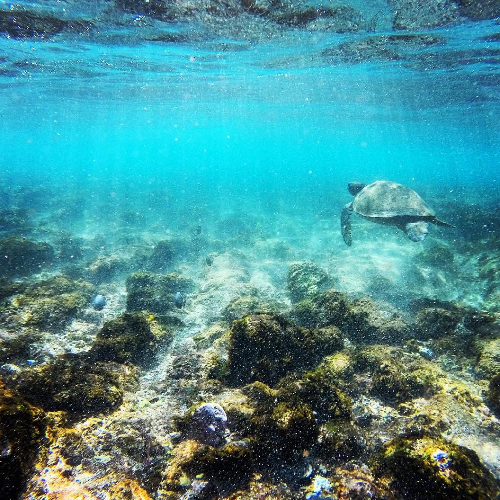
Ao caminhar ao longo da costa da Ilha de Rapa Nui, localizada no meio do Oceano Pacífico e mundialmente famosa por suas Moias, se pode fotografar enormes tartarugas marinhas que espreitam das águas cristalinas.

E está aproveitando um mergulho em Pea, uma pequena praia perto de Hanga Roa conhecida pela aparência desses animais, se pode se surpreender com a visita de uma linda tartaruga ao seu lado.

Mas atenção ! Avisamos não se pode tocar ou mesmo alimentar este precioso animal, pois o povo de Rapa Nui o protege e são bravos com quem não cumpre.
E com razão! A tartaruga marinha Rapa Nui não só corre o risco de desaparecer do planeta e que para os nativos é um animal protagonista da sua história com enorme significado espiritual.

A origem mística da tartaruga marinha Rapa Nui
A história conta que quando o primeiro Rei Hotu Matu’a morreu na ilha, seu espírito se transformou em uma tartaruga ou “Honu” na língua rapa nui. Assim, esses animais se reproduzem, se alimentam e vivem nas costas da ilha.
“Honu” representa para os ilhéus a virtude da paciência, longevidade e perseverança, crença está sendo transmitida de geração em geração até hoje e representada na sua arte, mitologia, simbolismo, tradições populares e rituais.
Se viajar pela ilha, verá a presença da tartaruga em várias pinturas rupestres, nas tabelas Rongo-Rongo e em lendas criativas. São sagrados e por isso os nativos da ilha não gostam que os turistas as toquem. Com razão, não é?

Na verdade, são os próprios ilhéus que reconhecem a delicada situação de conservação em que se encontra a tartaruga Rapa Nui e a estudam para a proteger ainda mais.
Por que estão em perigo de extinção e como podemos protegê-las?
Infelizmente, a principal ameaça ao “Honus” somos nós mesmos. A caça direta para o consumo da sua carne e / ou ovos, a pesca acidental, a destruição dos seus habitats de reprodução e a poluição dos oceanos.
E ainda mais, a tartaruga Rapa Nui é um dos animais mais afetados pelos plásticos do mar, pois muitas vezes confunde os sacos com águas-vivas ou algas, sua principal fonte de alimento, causando danos ao aparelho digestivo e até asfixia.

O cuidado da tartaruga Rapa Nui depende em grande medida da proteção de seus ambientes fundamentais, o da reprodução, nidificação e alimentação.
Rapa Nui é um dos habitats de alimentação das tartarugas marinhas e se tiver a oportunidade de visitar especificamente as baías de Hanga Roa ou Hanga Piko, é provável que encontre algumas espécies que se aproximam das rochas para se alimentarem de algas.

Você notou que nem todas as tartarugas marinhas são iguais?
Bem claro! Existem 7 espécies de tartarugas marinhas no mundo, sendo as mais comuns a tartaruga-verde (Chelonia mydas) e a tartaruga-de-pente (Eretmochelys imbricata).
Ambas são tartarugas marinhas de Rapa Nui. No entanto, as suas origens e padrões de movimento permanecem desconhecidos, razão pela qual atualmente a ilha conta com profissionais da área que procuram descobrir de onde vêm as tartarugas que vêm se alimentar da ilha e com essas informações poderem promover acordos internacionais de cooperação e proteção entre os países que constituem habitats-chave para essas espécies ameaçadas.
Entretanto, como turista também pode ajudar, se visitar a ilha lembre-se de depositar o seu lixo nos locais apropriados, não alimente as tartarugas nem tente tocá-las.
Cuide do mar e respeite toda a sua biodiversidade!
